アポクル予約
※インターネットからの予約方法

※手術の写真を掲載しておりますので、
苦手な方はご注意ください。

犬の肺炎
 肺は大気中の酸素を取り込む重要な器官で、空気中の微生物や異物から常に守られています。しかし、病原体の肺への侵入や、食べ物や異物などの誤嚥、有害な化学物質の吸引、鼻炎や気管支炎の波及などから、防御機構が破られることで肺に炎症が起こってしまうことがあります。炎症が起きると白血球が集まり、肺胞に「膿」や「炎症性液体」がたまり、呼吸のガス交換が阻害されることで呼吸が苦しくなってしまいます。子犬や高齢犬、ストレスが多い環境にいる犬では免疫力が低く、発症するリスクが上がります。


●原因
<感染>
- ウイルス性肺炎
- 細菌性肺炎
- 真菌性肺炎
- 寄生虫性肺炎

<誤嚥>
食べ物や鼻汁、嘔吐物、異物などが気道に入り込むことで、気道に炎症が起こり肺炎につながります。

<外的要因>
タバコの煙や洗剤・スプレーなどの化学物質の吸引、またアレルギーによって肺炎が起こる場合もあります。


●症状
・初期症状
初期症状では軽い咳やくしゃみ、鼻水が見られ、「風邪かな?」と思ってしまいがちですが、肺炎の始まりであることもあります。

・進行してきた時の症状
肺炎が進行してくると、湿潤のある咳やゴホゴホと続く咳が見られるようになり、黄色~緑色の鼻汁や痰が見られたり、明らかな発熱、呼吸が荒くなるような症状が見られます。

・重症化した場合の症状
重症化してしまうと、呼吸困難や酸欠によるチアノーゼ(舌や唇、歯茎が青紫色になる)、元気や食欲の低下など救急性の高い症状が認められます。呼吸が苦しく空気を飲み込んでしまうため、嘔吐が起こる場合もあります。
●診断
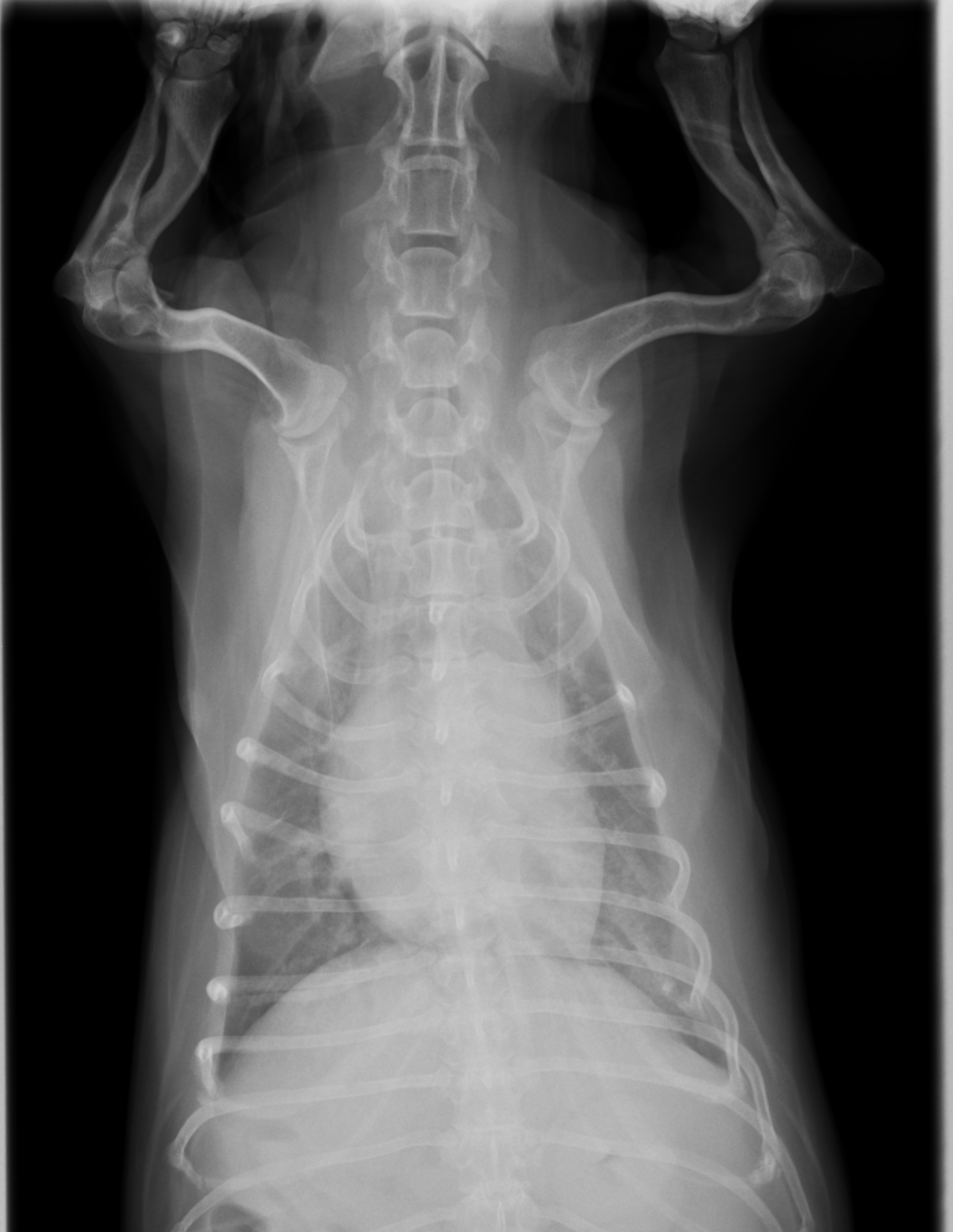
 身体的検査、レントゲン検査、血液検査などから総合的に診断します。 聴診器を使って肺の音を聴診します。肺炎の場合、みずっぽいような音やゴロゴロとした異常な音が聞こえることがあります。レントゲン検査では胸部のレントゲンを撮影します。肺炎の場合、肺が白く見え、気管支が白くはっきり見えるようになります。また、左右の肺の前葉や右側の中葉といった一部の肺野が白くなっていると誤嚥性肺炎を疑います。血液検査では白血球の増加や、炎症の指標であるCRPの上昇が見られることがあり、感染の有無や炎症の程度を評価します。
 症状が重い場合や原因の特定が困難である場合、「感染性」であることを確定するために気道内からサンプルを回収する気管支肺胞洗浄(BAL)やCT撮影を行うこともあります。また、細菌培養検査・薬剤感受性試験に出すことで使用薬剤の変更を検討します。
レントゲン画像
レントゲン画像
●治療方法
- 抗生剤
細菌性肺炎の場合に感染を抑制します。また、ウイルス性肺炎が疑われる場合にも、細菌の二次感染を防ぐために使用されます。
- 抗真菌薬
真菌性肺炎が疑われる場合に使用されます。

- 駆虫薬
寄生虫性肺炎が疑われる場合に使用されます。

- ネブライザー療法
薬剤を霧状に変え吸引させ、肺に直接到達させます。内服薬と比べ即効性があり、投薬を嫌がる子にも実施可能です。また、薬剤の血中濃度は内服薬や注射薬と比べて低くなります。そのため、投薬制限のある子に対しても使用しやすくなります。

- 支持療法
呼吸が苦しそうな場合には酸素室を使用し、酸素を補給します。また、食欲がなく飲水ができておらず脱水が見られる場合は点滴を行います。
 肺炎は、子犬や老犬、持病のある子では悪化しやすく、重症化すると死亡リスクもあるため早期治療が重要です。早期発見のために、年1~2回の健康診断の受診や感染症予防のためのワクチン接種も忘れずに行いましょう。また、未然に肺炎の罹患リスクを下げるためにも、清潔で快適かつ誤嚥を防ぐような環境を整えることが大切です。部屋の掃除をこまめに行い、空気清浄機の活用や喫煙を控えることで空気中の刺激物を減らすと良いでしょう。さらに多頭飼いの場合は、咳やくしゃみなどの症状がある動物と隔離し、感染が広がらないように配慮することが重要です。
 肺炎は、早期に適切な治療を行えば回復が期待できる病気です。日常の小さなサインを見逃さず、気が付いたことがあれば何でもご相談ください。

執筆担当者:獣医師 木俣
動物医療センター元麻布トップページ
港区元麻布3-1-34 カピラ麻布1F
TEL:03-6384-5351